Yestar艺星整形
登陆纽约时代广场 纳斯达克大屏

如何垫鼻尖,哪个方法好 鼻子位于我们的面部五官之中,对我们的颜值起到至关重要的作用,其实一个好看的鼻子不在于高挺的鼻梁,而是娇俏的鼻尖。那么我们如何才能拥有一个好看而高挺的鼻尖呢?下面我们就一起来看看专业的介绍吧!
 
不知道你发现没有通常都建议你用软骨,而不是假体和玻尿酸这又是为何?
 
小艺今天就告诉你假体、玻尿酸为什么不适合垫鼻尖,而推荐软骨垫鼻尖是有原因的~
 
 
关于垫鼻尖的材料选择问题,很多求美者存在这样的疑问:假体、玻尿酸、自体脂肪都可以垫鼻尖,为啥咨询时,却可劲儿的推荐软骨垫鼻尖?是不是因为软骨垫鼻尖贵啊?
 
可以肯定的回答这些求美者的问题,推荐软骨垫鼻尖,是有原因的!
 
假体、玻尿酸、自体脂肪不适合垫鼻尖!
 
01假体为什么不适合垫鼻尖
 
假体中有硅胶和膨体两种,实际上这两种都不适合垫鼻尖。硅胶虽然弹性好,易雕刻,但是硅胶假体一直作为“L”型来垫鼻尖的,长时间在皮肤的张力和重力的作用下,硅胶假体容易穿透皮肤,发生外露;膨体材料垫鼻尖,如果术后不能保持鼻部清洁卫生的话,容易引发逆行感染。
 
02玻尿酸也不适合垫鼻尖
 
玻尿酸作为填充材料,一般适合于骨性支撑结构比较好的鼻尖,若是一般的鼻尖严重塌平的情况,玻尿酸垫鼻尖效果显然不行。再加上有些急于达到求美者的要求,快速多量,术后造成血管栓塞,导致皮肤组织坏死。
 
03自体脂肪
 
自体脂肪同玻尿酸一样,也仅对基础条件好的鼻尖有效果,但自体脂肪后存在一定的吸收率,可能需要2次甚至是3次补填才能达到效果。
 
 
自体软骨适合垫鼻尖!

 
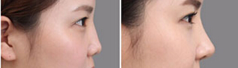
垫鼻尖前后对比图

垫鼻尖前后对比图
 
1、自体软骨的支撑能力很强
 
自体软骨有一定的柔韧性,支撑力也很强,如果用自体软骨垫鼻尖,尤其是对那种严重塌平的鼻尖,自体软骨能将其很好的支撑起来,而且还不会像硅胶假体那样发生透光现象。
 
2、自体软骨垫鼻尖有*保障
 
鼻梁部位不易移动,鼻尖部位却有很大的移动空间,以自体软骨来垫鼻尖,植入的软骨可与本身的鼻组织建立好的血运关系,融为一体,到若干年后,鼻尖还是一样的精致娇俏。
 
 
自体软骨怎样垫鼻尖的?
 
能垫鼻尖的自体软骨有肋软骨、鼻中隔软骨和耳软骨三种,每一种的性质特点各不相同:肋软骨来源量大,但本身容易发生弯曲;鼻中隔软骨取量稍大,质地坚硬;耳软骨组织相容性更高,更容易固定,无需血液供应,容易存活。
 
对不同情况的鼻尖,选择自体软骨的材料会有不同:比如鼻尖基础好的情况,可选择鼻中隔软骨或耳软骨来做鼻尖;若鼻尖基础差,可选个鼻中隔软骨+耳软骨的方式来垫鼻尖;若鼻尖本身的支撑条件差,可选择肋软骨来做鼻尖。
 
如何垫鼻尖,哪个方法好 看到这里你应该明白了:不是因为自体软骨贵,而是因为自体软骨垫鼻尖不仅效果好又*,因此在专业的都会建议用这种方法来拥有一个高挺的鼻尖,如果您还有哪些关于整形的疑惑可以随时与我们的进行联系!